1 din 3 | Act de cruzime! Un caine cu un cui batut un craniu a fost ingropat de viu. Cand a fost gasit, animalul era in viata
2 din 3 | Act de cruzime! Un caine cu un cui batut un craniu a fost ingropat de viu. Cand a fost gasit, animalul era in viata
3 din 3 | Act de cruzime! Un caine cu un cui batut un craniu a fost ingropat de viu. Cand a fost gasit, animalul era in viata
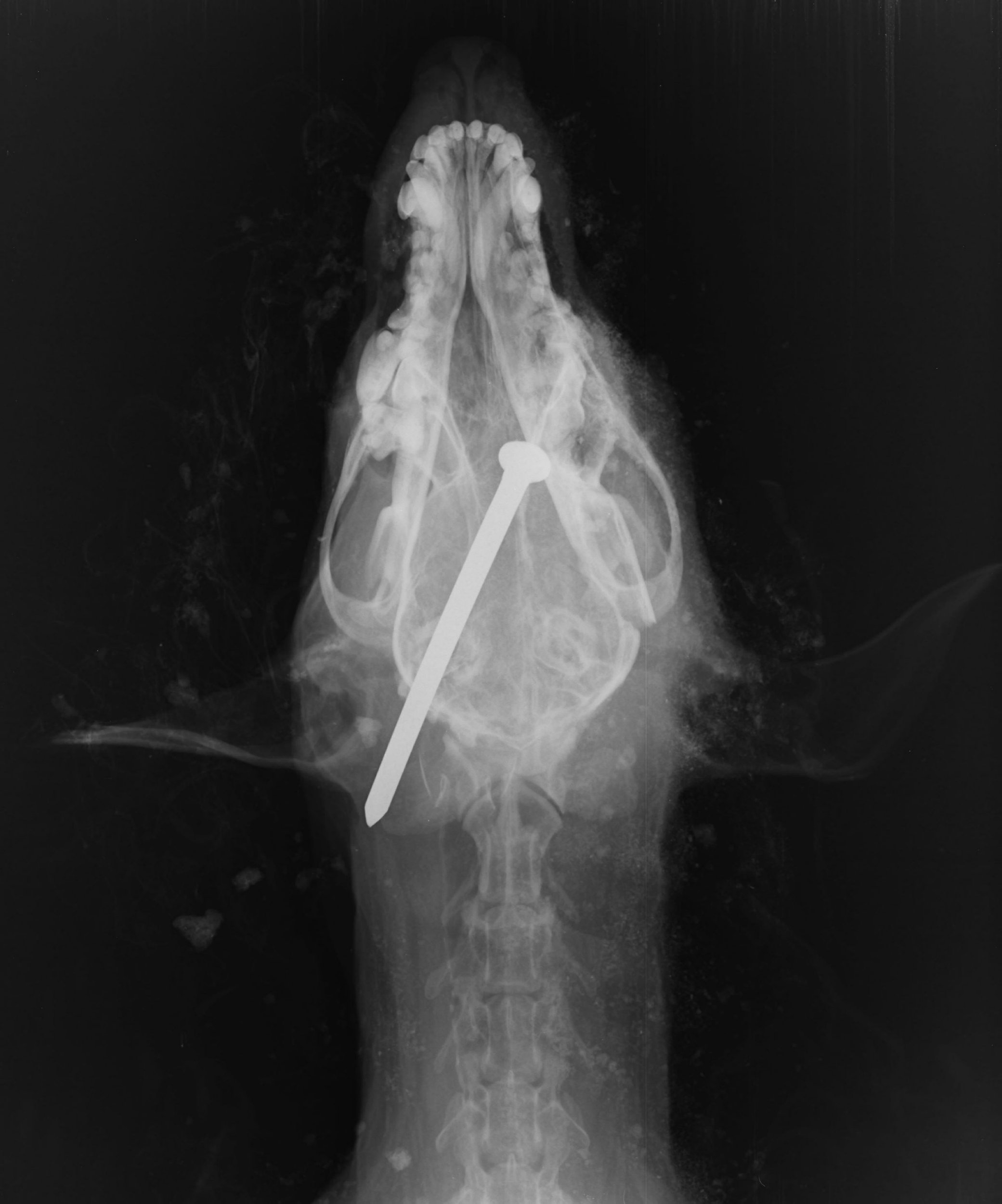
Un barbat a gasit un caine cu un cui batut in craniu, ingropat de viu, in Anglia. Cand l-a descoperit, animalul era in viata.
Barbatul l-a dezgropat si l-a dus la veterinar, insa bietul patruped nu a mai putut fi salvat, asa ca medicii au decis sa il eutanasieze.
Cei de la Protectia Animalelor au facut publice mai multe poze grafice cu animalul pentru a incerca sa-i prinda pe vinovatii acestui atac terifiant.
„Timp de 10 ani, de cand lucrez aici, nu am mai intalnit un caz atat de terifiant.